찌낚시대 구입 후기::삼우 빅캐치 렉서스 REXES EXR FX-500
2020년 11월.
언제인지 기억도 나지 않던 시기에 구입했던 머모피 젠틀맨 1호 530대를 바꿀 시기가 되었다고 생각되어 큰 맘먹고 낚시대를 하나 지르게 되었다.
시마노 극상 낚시대를 추천받았으나 가격과 AS 비용들이 부담이 되어 포기하고 국산 낚시대를 알아보게 되었다. 생각보다 비교 제품이 많아 고민을 많이 하였으나 결국 삼우빅캐치에서 나오는 렉서스(스펠링은 REXES이던데...렉세스? 렉서스? 아무튼 렉서스로 부르겠다)로 결정을 하고 인터넷 최저가 검색을 통해 약 50만원에 구입하게 되었다.
기존에 쓰던 낚시대가 거의 10만원 초반이었으니 개인적으로는 매우 큰 장비 업그레이드였다.
렉서스 모델에는 두 가지 종류가 있다. 내가 구입한 FX-500과 T-500이다. 인터넷 커뮤니티를 통해 알아본 바에 의하면 FX대는 내만권 고기용으로 상대적으로 연질 성격이고 T대는 긴꼬리벵에돔도 가능한 상대적으로 경질 성격이라고 하길래 주로 내만권을 찾는 나에겐 FX대가 맞을 것으로 생각되어 구입하였다.
렉서스 EXR FX-500 낚시대의 가장 큰 특징은 길이가 일반적인 530대보다 30cm정도 짧다는 점이고, 커뮤니티에서 많이 보이던 말은 낚시대가 얇고 가볍다는 것이다. 낚시대의 중량이 실제 낚시대 파지 시의 무게감을 절대적으로 나타내지는 않지만 여러 낚시대의 제원을 비교해봤을 때 FX-500은 거의 제일 가벼운 낚시대였다.
젠틀맨기를 사용하면서 최근 손목에 무리를 느낀적이 있었기에 무게가 본 제품을 구입하는데 큰 영향을 미쳤다고 할 수 있다.

기존에 사용하던 머모피 젠틀맨기 1-530이다. 젠틀맨3까지 나온걸로 알고 있는데....아마 이 낚시대를 거의 7년 가까이 사용한듯 하다. 초릿대도 15,000원정도로 저렴했기에 초릿대 수리를 세 번이나 하며 사용해왔다.

손잡이 부분은 거의 닳아 없어졌다. 젠틀맨기는 내 첫 찌낚시대로 60급 부시리 1마리, 50급 참돔 10마리정도를 올려낼 정도로 큰 손 맛을 많이 전해준 낚시대였다. 그동안 수고했으니 좀 쉬라~

이제 FX-500대. 무게가 일단 175그람이다. 일반적인 찌 낚시대인 30cm짧긴하지만 그래도 중량이 상당히 가벼운 낚시대이다.

젠틀맨기와 스타킹에 쌓여있는 삼우 렉서스 FX-500. 접은 길이는 크게 차이 나지 않는다.

낚시대를 처음보고 드는 생각은 얇다는 느낌이다.

후지사의 경사 가이드.

후지사의 릴시트.

티타늄이라니 내구성은 좋겠다는 생각.

손잡이 부분의 돌기.

좌측부터 FX-500, 젠틀맨기 1-530, 파도기 1-430. 접은길이는 FX-500이 가장 짧은편이다.

좌측부터 많이 비싼애, 적당한애, 싼애. 캡부터 느낌이 좀 다르긴하다.

잘 조립되어있던 가이드.

첫 마디만 펴보았는데 많이 얇다.

몇일 후 새 낚시대를 들고 가덕도 갯바위를 찾았다. 1시간 낚시를 하고나서 든 생각은 '내가 지금까지 전봇대를 들고 낚시를 했구나'. 얇기도 하지만 무척이나 가벼웠다. 물론 기존에 쓰던 낚시대가 고가의 낚시대가 아니었기도 하지만 그것에 비하면 정말 너무도 가벼운 편이었다.

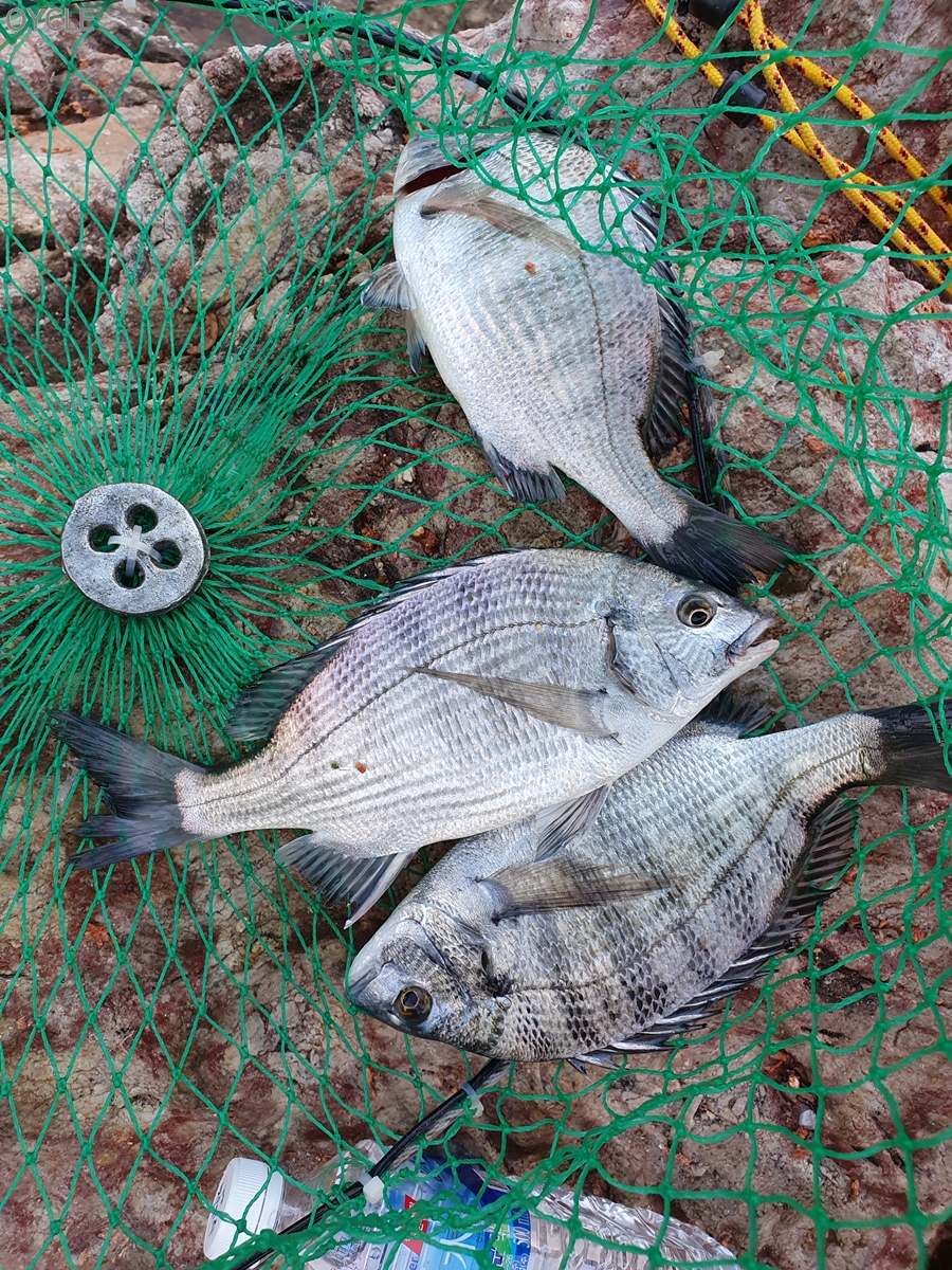
다행히 새 낚시대로 첫 출조에서 감성돔을 세마리 낚을 수 있었다. 전부 25급 사이즈였는데 고기힘을 잘 빼놓은 뒤 들어뽕으로 무리없이 올릴 수 있었다. 새 낚시대의 느낌은 얇지만 튕기는 힘이 좋다고 해야할까? 많이 휘어져서 손맛느끼기 좋았고, 얇음에도 힘이 느껴진다고 하면 좋을 것 같다. 그리고 가벼워서 부담이 없다. 또한 기존대보다 30cm짧은건 내만권 낚시에서 체감하기 어려웠다.
조금 큰 고기를 잡아보면 어떤 느낌을 받을지 궁금하다.
'[낚시]' 카테고리의 다른 글
| 거제도 외포 갯바위::감성돔 낚시[feat.갑분벵에돔, 외포낚시, 13번포인트] (0) | 2020.12.02 |
|---|---|
| 가덕도 기도원 갯바위::감성돔 낚시[feat. 수성낚시, 97번, 누룽여, 물여옆 포인트] (1) | 2020.11.26 |
| 가덕도 동편 갯바위::감성돔 낚시 출조기[feat. 47cm감성돔, 수성낚시, 합기돌 포인트, 무명 포인트] (1) | 2020.10.31 |
| 가덕도 기도원 갯바위::감성돔 낚시[feat. 수성낚시, 중간돌, 큰돌 포인트, 찬바람엔 감성돔] (0) | 2020.10.06 |
| 거제 구조라 갯바위::참돔 낚시[feat. 거제포세이돈낚시, 부시리, 뺀찌] (0) | 2020.09.16 |
댓글