가덕도 동편 갯바위::감성돔 낚시 출조기[feat. 47cm감성돔, 수성낚시, 합기돌 포인트, 무명 포인트]
2020년 10월 중순과 하순 두번의 출조 후기이다.
10월말에 접어들면서 찬바람도 불고 20초반이던 가덕도의 감성돔들이 조금씩 커지고 있다는 얘기를 듣고 수성낚시로 향했다.
매번 첫배를 타려고 뜬눈으로 밤을 지새다 새벽 3시에 낚시점으로 향했지만, 이번에는 처리해야할 일이 조금 많아서 오후낚시로 두 번을 다녀오게 되었다.
오후낚시는 10시 또는 12시 즘에 출발하는 배를 타고 5시에 철수하는 낚시 스케줄이다. 동틀무렵의 피크타임을 만나지 못한다는 단점이 있지만 오전낚시만 하고 철수하는 조사님들 자리로 바톤터치를 하는 것이기에 밑밥을 처음부터 뿌리지 않아도 바로 낚시가 가능하다는 장점이 있다. 또한 오전에 일처리를 어느정도 하고 낚시도 할 수 있다는 최고의 장점이다.
10월 중순 출조기

오후낚시를 위해 11시 30분경 낚시점에 도착했다. 오후낚시를 나가려는 조사님들도 참 많았다.

12시경 출발한 배를 타고 가덕도 동편으로 향한다. 가는길에 가덕도 기도원 좌대를 보았는데 사람들이 꽤나 많았다. 좌대에서도 잘 나오려나?

오늘은 합기돌이라는 포인트에 내리게 되었다. 혼자왔지만 김해에서 오신 조사님과 우연히 같이 내리게 되었고 이런저런 얘기를 하며 심심하지 않게 낚시를 할 수 있었다. 게다가 조력이 상당하신 분이라 이것 저것 물어보며 낚시 지식도 쌓을 수 있는 좋은 기회였다. 더 대박은 5짜에 가까운 감성돔 랜딩을 맨눈으로 볼 수 있었다는...

합기돌의 좌측은 같이 내린 조사님이 위치하고 나는 우측에서 낚시를 시작했다.

우측의 모습. 낚시를 시작하고 초반에는 우측에서 감성돔이 쏟아져 나왔다. 1시간남칫되는 시간동안 4마리를 연속으로 걸어냈다. 그리고 한참 소강상태.

물도 잘 안가고 소강상태가 지속되길래 밑밥을 거의 붓다시피 했더니 귀여운 상사리가 올라왔다. 가덕도에서 처음보는 상사리.

그리고 얼마지나지 않아 옆 조사님이 엄청난 휨새를 보였고 둘 다 숭어인줄 알았으나 띄워보니 감성돔. 가덕도에서 낚시한지는 얼마되지 않았으나 이 정도 사이즈를 본적이 없었는데 흔치 않은 구경이었다. 그것도 06호대로 47감성돔을 안정적으로 올리는 장면을...

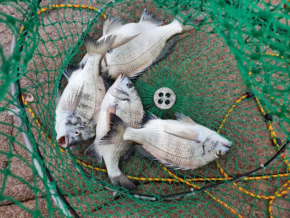
오늘의 조과이다. 20후반급의 감성돔 4마리.

옆 조사님이 낚으신 47 감성돔이다. 어마어마...이날 이후로 5짜감성돔도 나오고 대물들이 조금씩 올라오는 듯 했다.

상대적으로 초라하지만 조황사진도 찍어보았다.

집에와서는 회도 떠보고

초밥도 만들어먹었다. 많이 크지는 않지만 상당히 맛이 좋다.
2020년 10월 하순 출조기
이날도 오후낚시로 낚시를 시작했다.

선장님이 한번 해보라고 내려준 무명의 여 포인트이다. 여태 다녀본 갯바위와 다르게 매우 협소한 바위 포인트였다. 선장님이 추천해준 자리니 믿고 열심히 낚시 시작.

시작한지 약 30분만에 33cm의 감성돔을 올릴 수 있었다. 내가 가덕도에서 잡은 감성돔 중 가장 큰 사이즈이다. 8월에 참돔을 많이 잡아봐서 인지 크게 당황하지 않고 잘 끌어낼 수 있었다.

조금 시간이 지나니 파도가 심해졌고 중간에 사고가 터졌다. 낚시 가방을 통째로 파도가 가져가버린 것이다. 다행히도 오전 낚시 철수배가 근처에 있었고, 선장님이 나를 보고 있었는지 바로 달려와서 건질 수 있었다.
이후로는 여울에 겁먹고 사진도 못찍고 낚시만 했다. 중간에 한번 큰 고기를 걸었는데 거의 다와서 바늘이 벗겨지고 말았다. 그 놈도 30은 될 것 같았는데...

33cm 감성돔은 아이들과 같이 먹기 위해 손질해서 튀겨버렸다. 바싹튀겨서 형체를 알아보기 힘들지만 맛은 정말 훌륭했다.
출조 시 채비정보
낚시대: 머모피 젠틀맨 1호 530
원줄: 2.75호 조무사 신기 세미플로트
목줄: 1.7호 토레이 L-SE
찌: 찌스 구멍찌 (0.8호)
수중찌: 500원짜리 -0.8호
바늘: 가마가츠 감성돔 바늘 2.5호
도래, g3봉돌 가감, 목줄 2m-2.5m
미끼: 민물새우
'[낚시]' 카테고리의 다른 글
| 가덕도 기도원 갯바위::감성돔 낚시[feat. 수성낚시, 97번, 누룽여, 물여옆 포인트] (1) | 2020.11.26 |
|---|---|
| 찌낚시대 구입 후기::삼우 빅캐치 렉서스 REXES EXR FX-500 (2) | 2020.11.18 |
| 가덕도 기도원 갯바위::감성돔 낚시[feat. 수성낚시, 중간돌, 큰돌 포인트, 찬바람엔 감성돔] (0) | 2020.10.06 |
| 거제 구조라 갯바위::참돔 낚시[feat. 거제포세이돈낚시, 부시리, 뺀찌] (0) | 2020.09.16 |
| 거제 구조라 갯바위::참돔 낚시[feat. 거제포세이돈낚시, 네번의 출조이야기] (0) | 2020.09.11 |
댓글